Pendunculate Oak - Quercus robur
Large spreading tree to 45 metres. Leaves oval with rounded lobes, rounded at base with a very short stalk (looking almost stalkless). Bark smooth and silvery brown, becomes rugged and deeply fissured with age. Acorns long stalked. Male and female flowers occur on the same tree. Male flowers are pendulous long slender catkins, yellowish green each flower with 8 to 20 stamens. The female flowers are very small pinkish, and found in the axils of the leaves.1 to 4 surrounded by a close cluster of scales, they develop into the acorns.
Sessile Oak (Quercus petraea) and the hybrid with it (Quercus x rosacea) as well as Turkey Oak (Quercus cerris) are all broadly similar. Pendunculate Oak can be distinguished by having leaves without stalks and acorns on long stalks.
Woods, hedgerows and roadsides.
Flowers: April and May.
Deciduous.
Common throughout Britain, especially in lower areas.
Very common in Leicestershire and Rutland. In the 1979 Flora survey of Leicestershire it was found in 573 of the 617 tetrads.
Leicestershire & Rutland Map
Enter a town or village to see local records
MAP KEY:
Yellow squares = NBN records (all known data)
Coloured circles = NatureSpot records: 2025+ | 2020-2024 | pre-2020
UK Map
Species profile
- Common names
- Common Oak, Pedunculate Oak
- Species group:
- flowering plant
- Kingdom:
- Plantae
- Order:
- Fagales
- Family:
- Fagaceae
- Records on NatureSpot:
- 633
- First record:
- 01/01/1979 (Patricia Evans)
- Last record:
- 31/10/2025 (Smith, Peter)
Total records by month
% of records within its species group
10km squares with records
The latest images and records displayed below include those awaiting verification checks so we cannot guarantee that every identification is correct. Once accepted, the record displays a green tick.
In the Latest Records section, click on the header to sort A-Z, and again to sort Z-A. Use the header boxes to filter the list.
Latest images
Latest records
Oyster Gall
The larvae of the agamic (asexual) generation of the wasp Neuroterus anthracinus cause Oyster galls on the underside of Oak leaves. The galls are around 3 mm across with flaps of tissue either side where the gall is attached to the the midrib (or occasionally a main vein). The gall is yellowy cream and may have red or brown spots. The flaps can often still be found on the leaf after the gall has fallen.
Dyseriocrania subpurpurella
The larvae of the moth Dyseriocrania subpurpurella mine the leaves of Oak. The leaf mines are at the tips of young leaves, and may have the characterisitc spaghetti-like frass of the Eriocraniidae.
Orchestes quercus
The larvae of the weevil Orchestes quercus mine the leaves of Oak There is an oviposition scar in the midrib. The first part of the corridor follows the midrib, then runs towards leaf margin where it widens into a blotch. Frass in short threads attached to upper epidermis.
Orchestes hortorum
The larvae of the weevil Orchestes hortorum mine the leaves of Oak creating a gallery along the edge of the leaf leading to a circular blotch, from which a case is cut leaving a round hole. Mines are commonly found in English Oak, but can also be found in Turkey Oak and Holm Oak
Pink-bud Gall
The larvae of the sexual generation of the wasp Trigonaspis megaptera cause Pink-bud galls on Oak. The galls are often hidden by litter, on dormant buds at the foot of mature stems, but also on seedlings and suckers. They are up to 1 cm in size and have a waxy surface. The colour ranges from white through cream and pink to reddish brown. The sexual galls can also be found on twigs and stems.
Cupped Spangle Gall
The larvae of the agamic (asexual) generation of the wasp Neuroterus tricolor cause Cupped Spangle galls on Oak. The galls gall develop on the underside of the leaf and are often cup-shaped, 2 to 4 mm in diameter, with a raised hairy rim and tufts of reddish hairs. Each gall is attached by a short stalk.
Currant Gall
The larvae of the sexual generation of the wasp Neuroterus quercusbaccarum cause Currant galls on Oak. The galls are spherical, smooth, succulent and berry-like. They are up to 7 mm in diameter and vary in colour from pale yellow through green to red or purple. These galls can occur on oak leaves or catkins in about May.
Common Spangle Gall
The larvae of the agamic (asexual) generation of the wasp Neuroterus quercusbaccarum cause Common Spangle galls on Oak. The galls can be very abundant on the undersides of Oak leaves in autumn. They are disc-shaped with a central bulge and are covered with tufts of reddish hairs. No structure is visible on the upper leaf surface but it is often discoloured.
Neuroterus politus f. agamic
The larvae of the agamic (asexual) generation of the wasp Neuroterus politus cause galls in Oak catkins, usually several per catkin. They are very small - c.2mm. Each gall is formed from an anther; the two pollen chambers remain visible as ridges on the gall meeting at the top. The gall develops in the tissue at the base of and between the two pollen chambers
Blister Gall
The larvae of the sexual generation of the wasp Neuroterus numismalis cause a circular Blister Gall that is visible on both sides of an Oak leaf. It is about 3mm across; green at first then brown. The blister has lines radiating from the centre and the exit hole may be in the upper or lower surface.
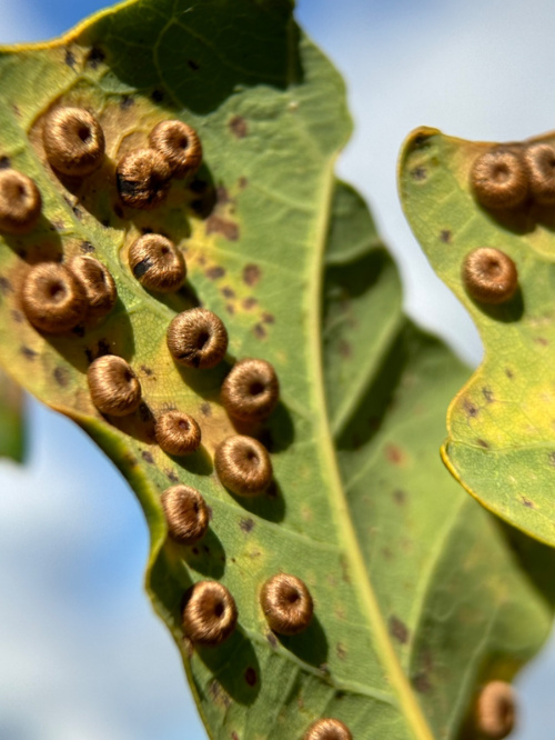
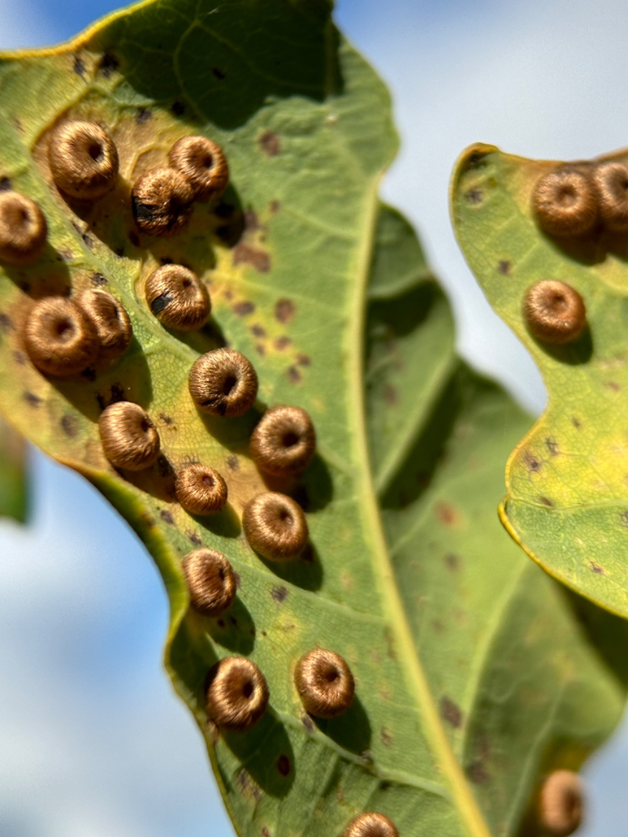
Silk-button Gall
The larvae of the agamic (asexual) generation of the wasp Neuroterus numismalis cause Silk-button galls on the underside of Oak leaves. These are small (up to 3mm across) and look like a doughnut or a thick, rolled-edge disk with gold hairs and a deep central depression. There is no structure on the top of the leaf but it is sometimes discoloured. The galls can be extremely abundant.
Stigmella basiguttella
The larvae of the moth Stigmella basiguttella produce leaf mines on Oak. This is a long sinuous gallery, widening gradually and filled with green frass, which becomes brown later in the year.
Smooth Spangle Gall
The larvae of the agamic (asexual) generation of the wasp Neuroterus albipes cause Smooth Spangle galls on the underside of Oak leaves. The galls are thin and flat in shape, hairless with a slightly raised rim, measuring up to 5mm across. The colour is generally cream or pale green, sometimes with a pinky-red rim or blotches. They are rarely found in large numbers on a single leaf.
Violet-egg Gall
The larvae of the sexual generation of the wasp Cynips quercusfolii cause Violet-egg galls on Oak. The galls are small, oval, unstalked and are to be found in oak buds. They have a purplish velvety pubescence. The bud scales can be seen at the base of the gall. All records from VC55 have been on the epicormic buds on oak-tree trunks.
Cherry Gall
The larvae of the agamic (asexual) generation of the wasp Cynips quercusfolii cause Cherry galls on the leaves of Oak. The galls are large and succulent, 15 to 25 mm in diameter, smoother on Quercus robur or more warty on Quercus petraea; yellow-green suffused with pink or red, and later dark red then brown with a thick walled chamber. They persist on fallen leaves over winter.
Striped Pea-gall
The larvae of the agamic (asexual) generation of the wasp Cynips longiventris cause Striped Pea-galls on the leaves of Oak, with rows of bumps, and pale yellow with white, pink or red spots and stripes. It is usually on the underside of the leaf, but can be on the upper surface.
Red-pea Gall
The larvae of the agamic (asexual) generation of the wasp Cynips divisa cause Red-pea galls on the underside of oak leaves. The point of attachment may show as an indistinct spot on the leaf upperside. It is spherical, up to 6mm diameter, has a smooth surface, and is hard (not succulent). The gall is thick-walled and hard to crush, with a circular chamber inside.
Cynips disticha f. agamic
The larvae of the agamic (asexual) generation of the wasp Cynips disticha cause small galls on the underside of oak leaves often with a squared shape and a depressed central area. The surface of the gall may be mottled or bumpy, and is soft and pale brown at fIrst, later becoming harder and reddish-brown. Inside are two chambers, with the wasp larva in the basal chamber.
Oak-apple
The larvae of the sexual generation of the wasp Biorhiza pallida cause Oak-apple galls to be formed on native oaks. The galls are large and spongy, pale green becoming cream/pink or red, and later brown; they persist as old galls over winter. Inside are multiple larval chambers.
Andricus solitarius f. sexual
The larvae of the sexual generation of the wasp Andricus solitarius cause small ovoid galls to be formed in the catkins of oak. These are sparsely hairy, with hairs and remains of antheres at base. A ridge on each side of gall meets at apex. Green-yellow at first, then brown; exit hole later on in side of gall at tip.
Andricus solitarius f. agamic
The larvae of the agamic (asexual) generation of the wasp Andricus solitarius cause galls to be formed in the buds of oak. These are elongate and slightly curved, and covered in red/golden hairs when young; later the hairs drop off leaving a smooth gall.
Caloptilia robustella - alchimiella agg.
The larvae of the moths in the Caloptilia robustella - alchimiella aggregate mine the leaves of Oak. The mines of the two species are very similar. Initially this is a short gallery leading to a blotch, and then both species form leaf cones by folding down the leaf-tip. To be certain of identification to species level, the adult must be reared and dissection of genitalia is necessary. Where dissection has not taken place, records should be submitted as Caloptilia robustella - alchimiella agg.
Gypsonoma dealbana
The larva of the moth Gypsonoma dealbana mines the leaves of various species of trees and shrubs, commonly willows, or oak, but may be other species. The larva then feeds from a silken tube crusted with frass, on the underside of the leaf beside the midrib, retreating into the midrib when disturbed. The larva is pale grey or yellowish-cream in colour.
Coleophora ibipennella
The cased larvae of the moth Coleophora ibipennella feed on oak creating a distinctive 'pistol' shaped case from silk.
Coleophora kuehnella
The cased larvae of the moth Coleophora kuehnella feed on oak (Quercus) and form a very distinctive-looking case. In the later stages, the actual case is surrounded by a semi-transparent 'cloak' constructed from scale-like segments of silken material.
Coleophora flavipennella
The cased larvae of the moth Coleophora flavipennella feed on Oak. The young overwintered larva are tiny but may be found on oak buds. It has an oval leaf-fragment incorporated into the case, unlike similar species. Eventually this is obscured. Circular mines are made by the cased larva, each with a hole in the middle where the case was attached
Phyllonorycter lautella
The larvae of the moth Phyllonorycter lautella mine the leaves of Oak. The mine is greater than 20 mm long, lower epidermis with one strong crease often dividing in Y-shape at end near leaf-margin. There can be several mines on a leaf. The mines are often found on young seedlings and saplings. If recording the leafmine good photographs are required together with an indication of the length of the mine and the host species; also photograph the pupal cremaster if present.
Phyllonorycter messaniella
The larvae of the moth Phyllonorycter messaniella mine the leaves of Oak. When the mine is on Pendunculate Oak it is necessary to examine the pupa and photograph the cremaster - often this is sticking out of a vacated mine.
Phyllonorycter quercifoliella
The larvae of the moth Phyllonorycter quercifoliella mine the leaves of Oak. The species is difficult to identify from the mine alone, Please provide photographs of the frass covered pupal cocoon when recording leafmine, or the mine and pupal cremaster.
Phyllonorycter heegeriella
The larvae of the moth Phyllonorycter heegeriella mine the leaves of Oak. The leaf mines on oak can be searched for from late autumn through winter, and it is relatively easy to rear the adult. The species can't be identified from the mine alone, but the pupa has a distinctive arrangements of hooks at the very end, known as the 'cremaster'. When recording this leafmine yo will need to submit a photograph of the leaf mine and pupal cremaster.
Phyllonorycter harrisella
The larvae of the moth Phyllonorycter harrisella mine the leaves of Oak. The leaf mines on oak can be searched for from late autumn through winter, and it is relatively easy to rear the adult. The species can't be identified from the mine alone, as P quercifoliella, P messaniella and other oak species produce similar mines, but the pupa has a distinctive arrangements of hooks at the very end, known as the 'cremaster'. When recording this mine you will need to provide a photograph of the leaf mine, and images of the pupal cremaster.
Acrocercops brongniardella
The larvae of the moth Acrocercops brongniardella mine the leaves of Oak. They characteristically make twisting initial mines in the upper epidermis, which then join to form a large blotch, with a silvery appearance.
Barnacle Gall
The larvae of the agamic (asexual) generation of the wasp Andricus sieboldi cause Barnacle galls to be formed on oak. These are usually found low on the main trunk of a smallish tree or sapling, or else on branches near the ground. They are conical and ridged, initially purplish and fleshy, later brown and hard.
Bucculatrix ulmella
The larvae of the moth Bucculatrix ulmella mine the leaves of Oak. The mine is a short contorted gallery close to the midrib of a leaf, containing broken black frass. When pupating, in common with other Bucculatrix species, the larva creates a distinctive ribbed cocoon surrounded by a 'palisade' of vertical silken hairs.
Tischeria ekebladella
The larvae of the moth Tischeria ekebladella mine the leaves of Oak. The mines are distinctive creamy white blotches on upper leaf-surface, wih a darker centre as it matures. In mature mines, the larva can be seen inside a circular cocoon, curled into a horseshoe shape.
Ectoedemia heringi
The larvae of the moth Ectoedemia heringi mine the leaves of Oak. The mine is usually close to the midrib, eventually forming a blotch. Unlike Ectoedemia subbimaculella, the mine does not have a slit in the lower epidermis. The larva has a red-brown head and continues to feed in 'green islands' in fallen oak leaves.
Ectoedemia subbimaculella
The larvae of the moth Ectoedemia subbimaculella mine the leaves of Oak. The mine begins with a gallery following a vein, then creating a triangular blotch between vein and midrib. It can be distinguished from the similar mines of E. heringi by the presence of a slit or lose triangular flap in the lower epidermis which allows frass and water to pass. The larva has a dark head, and continues to feed in 'green islands' in fallen oak leaves.
Ectoedemia albifasciella
The larvae of the moth Ectoedemia albifasciella mine the leaves of Oak. The mine begins with a narrow gallery following the midrib or a vein, and then becoming a rectangular blotch with frass gathered towards one end. The larva has a pale brown head.
Stigmella roborella
The larvae of the moth Stigmella roborella mines the leaves of Oak. The mines have a central line of frass and the larva has a pale brown head without dark sclerites.
Stigmella samiatella
The larva of the moth Stigmella samiatella mines the leaves of Sweet Chestnut and Oak. The gallery is long and broad, frass dispersed in later part of mine. When the mine is on Oak it cannot be safely recorded from photographs.
Stigmella atricapitella
The larvae of the moth Stigmella atricapitella produce leaf mines on Oak in two generations. The first generation produce a short gallery with frass in thick line. The second generation mine is a longer gallery with the frass in a narrower line. The larva is a whitish-yellow and has dark prothoracic sclerites (which help distinguish it from S. roborella, with a pale head only).
Stigmella ruficapitella
The larvae of the moth Stigmella ruficapitella produce leaf mines on Oak. . The mine takes the form of a long gallery, initially with narrow black frass, later becoming more dispersed. The egg is laid on the upperside of the leaf. The larva is whitish-yellow, head pale brown.
Thelaxes dryophila
The wingless stages of Thelaxes dryophila are small (1 to 2.3 mm) oval and brown or greenish, sometimes with a paler stripe along the back. Their rostrum is distinctive in having a long and almost needle-like last rostral segment. The cauda is knobbed and the siphunculi are very short and virtually pore-like.
Andricus callidoma
The larvae of the gall wasp Andricus callidoma cause galls to form on Oak. The asexual gall emerges from an unopened bud. The stalk is 3 to 5 mm long and can be much longer, the gall itself is approximately 2 x 4 mm with a pointed tip.
Ramshorn Gall
The Ramshorn Gall (Andricus aries f. agamic) is produced in the buds of native Oak (Quercus species) and is said to resemble the horns of a Ram in its shape. The gall commonly forms a 'chimera' with another gall-causing species, causing oddly-shaped galls, and the presence of the inquiline wasps Synergus spp can also change the shape of the gall, causing enlargement of the bulbous base.
Heliozela sericiella
The larva of the moth Heliozela sericiella mines Oak, first causing a gall in the leaf petiole, it then mines the leaf, finally making a small oval cut-out close to the leaf base.
Macrodiplosis roboris
Larvae of the gall midge Macrodiplosis roboris cause the leaves of Oak to roll upwards forming a gall. The rolls usually occur between the lobes of the leaf. An orange larva is inside the gall.
Macrodiplosis pustularis
The larvae of the gall midge Macrodiplosis pustularis cause galls on the leaves of Oak (Quercus) species. This takes the form of a downward roll, or fold and usually affects the leaf lobe at the tip of the vein. Green at first, with pale yellow spots, later brown and contains one larva.
Tischeria dodonaea
The larva of the moth Tischeria dodonaea mines the leaves of Oak and Sweet Chestnut. The mine has a dark orangey blotch with a series of dark concentric rings or semicircles.
Oak Leaf Phylloxera
Phylloxera glabra fundatrices feeding on oak leaves in spring cause the leaf edges to curl inwards and become slightly thickened, causing a gall. Feeding by later generations causes necrotic spots on the leaves. The yellowish orange adult apterae feed on the undersides of the leaves. The Phylloxera glabra adult body length is only 0.7 to 0.85 mm.
Nut Scale
Nut Scale (Eulecanium tiliae) affects various woody plants including trees and shrubs such as Hawthorn, Oak, Ash, Hornbeam, Field Maple and fruit trees such as Apple and Pear.
Tuberculatus annulatus
The aphid Tuberculatus annulatus is found on Oak, especially English (Pedunculate) Oak. Immature Tuberculatus annulatus are yellowish or green with pale antennae apart from black bands at the tips of the segments. The adult winged viviparae are very variable in colour, ranging from yellowish, greyish-green or pink to purple in summer.
Andricus seminationis f. agamic
The larvae of the agamic (asexual) generation of the wasp Andricus seminationis cause galls to be formed on oak. These are small spindle-shaped galls, with pointed tip, arising from an Oak catkin or leaf. Stunted anthers remain at the base of the gall, which is usually stalked. Green, then becoming brown, with a ring of hairs around the tip.
Myzocallis castanicola
Found on the undersides of leaves of many chestnut (Castanea) and oak (Quercus) species. It is often abundant on Sweet Chestnut. Immature Myzocallis castanicola are yellowish-white or greenish-white with some brown-black dorsal markings. All adults are winged, yellow with paired black spots on the abdomen and a central dark median line on the head. The wing venation distinctly outlined in brown and forewing veins ending in brown spots. The brown wing outline distinguishes it from other Oak feeding aphids in this genus.
Lachnus roboris
The aphid Lachnus roboris may be found on twigs and small branches of Oak and sometimes Sweet Chestnut. The apterae are shining blackish brown. The body length of an adult Lachnus roboris aptera is 2.5 to 5.5 mm. Lachnus roboris alates have the forewing membrane pigmented except for four clear patches.
Profenusa pygmaea
The larvae of the sawfly Profenusa pygmaea mine the upper surface of the leaves of various species of oak and occasional sweet chestnut, creating a large blister mine - usually with a narrow 'neck' where it begins, but without a real initial corridor. Frass in gradually larger grains scattered in the mine. The larva has dark markings on the prothorax and dark spots on the ventral side of the thorax.
Caliroa cinxia
The larva of the sawfly Caliroa cinxia are usually greyish or green with more yellow in the area around the head and are covered in a mucous. The larval foodplant is Oak.
Oak Slug Sawfly
The larva of the Oak Slug Sawfly (Caliroa annulipes) usually feeds on Oak, although other trees such as Lime may be used. The larvae are quite transparent when young, becoming greener with age. The larvae of Caliroa annulipes lack yellow at the head end - as seen in some other Caliroa larvae.
Apethymus filiformis
The larvae of the sawfly Apethymus filiformis are rather plain, coloured two-tone grey. Their foodplant is Oak.
Periclista pubescens
The larvae of the sawfly Periclista pubescens feed on Pendunculate (English) Oak and Sessile Oak and have long branched bristles.These bristles are the longest of the three Periclista species and have branches shorter than the stems.
Periclista lineolata
The larvae of the sawfly Periclista lineolata feed on both Sessile Oak and Pendunculate (English) Oak. This species has branched bristles dorsally with the branches about the same length as the stems. The anal segment has a row of six unbranched bristles with a small forked bristle on either side posterior to the row. The head is dark.
Andricus curvator f. sexual
The sexual generation of Andricus curvator produces a gall in oak leaves or occasionally in a twig; rarely in catkins. In the leaf, it is roughly globular, about 8 mm across and often distorts the leaf and midrib; sometimes several galls coalesce. In a twig, it causes a swelling and usually a bend in the twig, with a spherical inner gall.
Cottonwool Gall
The larvae of the sexual generation of the wasp Andricus quercusramuli cause Cottonwool galls to be formed on oak. These are a spherical mass of white hairs on oak catkins, up to 3cm across. Inside are up to 20 chambers, each occupied by one larva.
Truffle Gall
The larvae of the agamic (asexual) generation of the wasp Andricus quercusradicis cause Truffle galls to be formed on oak. These are irregularly shaped truffle-like galls to 6 cm, the many chambers each with a single larva. These occur at the base of trunks or on shallow or exposed roots of Oak and are initially soft, becoming hard and woody.
Andricus quercuscorticis f. agamic
The larvae of the agamic (asexual) generation of the wasp Andricus quercuscorticis cause galls to be formed on oak. The galls are ovoid; they occur in clusters and are embedded in the bark on the oak tree-trunk; eventually only the empty galls or sockets persisting. They are usually found in callus tissue that forms around wounds on the main trunk.
Knopper Gall
The larvae of the agamic (asexual) generation of the wasp Andricus quercuscalicis cause Knopper galls to be formed on oak. Knopper galls are a mass of ridged tissue formed on acorn cups, with a large central cavity and small inner gall. Multiple galls can form on one acorn. They are green and sticky at first, then reddish and becoming brown and woody. Eventually they fall and can be found carpeting the ground under oaks.
Andricus quadrilineatus f. agamic
The larvae of the agamic (asexual) generation of the wasp Andricus quadrilineatus cause galls to be formed on oak catkins or on leaves. On catkins, they are grooved, egg-shaped galls without hairs, which turn from green or yellow to dark red as the season progresses. On leaves the galls are small and pip-shaped with a pointed tip, at the end of the midrib or lateral vein.
Andricus paradoxus f. agamic
The larvae of the agamic (asexual) generation of the wasp Andricus paradoxus cause galls to be formed on oak buds from the previous year. The remains of bud scales at the base, but these may wear off. Longer than wide, acorn- or egg-shaped, up to 8mm long, and with a blunt tip. Green and smooth at first with paler spots and streaks, becoming purplish-brown. Mature galls brown and ridged lengthwise. There is a single gall-wasp larval chamber, but multiple chambers are made by inquilines.
Cola-nut Gall
The larvae of the agamic (asexual) generation of the wasp Andricus lignicola cause scaly, marble-like galls to form in the leaf axil buds and terminal buds of English Oak and Sessile Oak.They are smaller than Andricus kollari Marble galls, and are rougher/lumpier in appearance, grey-brown in colour and very hard, persisting for several years. They are usually found in small clusters.
Andricus legitimus f. agamic
The larvae of the agamic (asexual) generation of the wasp Andricus legitimus cause galls within the acorns of some Oak species. The degree of suppression of the development of the acorn varies, but it often remains completely enclosed by the cup. The gall may not be evident unless there are exit holes, but may be found by collecting and sectioning stunted acorns that still held on the tree in winter.
The larva occupies a single chamber in the acorn, but multi-chambered galls are common; this is said to be caused by the inquiline wasp, Synergus clandestinus. (ref: Redfern & Shirley 2023).
Marble Gall
The larvae of the agamic generation of the wasp Andricus kollari produces Marble Galls on terminal and occasinally lateral buds of native oaks. They are large spherical galls that start green and become brown and very hard, often with small surface bumps. They can persist for several years. There is a single causer larval chamber inside, although inquilines are also common in the gall tissue.
Andricus inflator f. sexual
The larvae of the sexual generation of the wasp Andricus inflator produces galls in twigs of native oaks (Quercus sp.). The galls are hard and woody, causing knobbly swellings, which can persist for some time after being vacated. Inside is a long narrow larval chamber.
Andricus inflator f. agamic
The larvae of the agamic (asexual) generation of the wasp Andricus inflator produces galls in buds of native oaks (Quercus sp.). The galls are green, smooth and rounded with a small point. They are quite large at up to 6mm diameter. Bud scales are present at the base of the gall, but eventually may fall off. Eventually the galls drop out of the bud, leaving a scar surrounded by the remains of the scales.
Dyer's Gall
The larvae of the agamic (asexual) generation of the wasp Andricus infectorius form a medium-sized gall on oak buds. It is rounded and may be nearly spherical, up to 15mm diameter, with a narrow attachment to a lateral or terminal bud on oak. Green then becoming reddish or orangey brown, often with light brown warty lumps, which sometimes create a 'crown'.
Andricus grossulariae f. agamic
The larvae of the agamic (asexual) generation of the wasp Andricus grossulariae cause galls on the buds, catkins or acorn cups of native oaks. The galls have radiating blunt spines, green and sticky at first, then turning red and finally brown. They are multi-chambered, and up to 3cm in diameter on terminal or lateral buds, smaller when formed on catkins and acorn cups. Later on in the year, fallen galls may be found on the ground beneath oaks.
Andricus glandulae f. agamic
The larvae of the agamic (asexual) generation of Andricus glandulae cause galls in the axillary leaf bud of various Oak species. The pear-shaped gall is about half a centimetre high and covered in silky white adpressed hairs that point downwards. Inside the tip is an inner gall containing the larval chamber. It is mainly seen on young shoots. In the BPGS key (Redfern & Shirley) the gall is described as generally reddish, or purple, and the hairs may be violet coloured. All galls photographed in VC55 so far are green with white hairs.
Andricus gemmeus f. agamic
The galls produced by the larvae of the agamic (asexual) generation of the wasp Andricus gemmeus are rounded, 3 to 4 mm, often in clusters and arising from a dormant bud on the trunk or twigs of oak trees, often in callus tissue. The surface has rings of come like bumps and may be finely pubescent. It is soft and greenish-yellow at first, later becoming red then brown and woody.
Hairy-catkin Gall Causer
The larvae of the sexual generation of the gall wasp Andricus foecundatrix produse small oval galls on male oak catkins, early in year known as Hairy-catkin Galls. The galls are covered in white straggly hairs and often have a dark tip. The base is surrounded by anthers.
Artichoke Gall
Artichoke Galls are produced by the larvae of the agamic (asexual) generation of the wasp Andricus foecundatrix. The galls are formed in oak buds and as the name suggests have the appearance of an artichoke. The buds become much enlarged (up to 30mm long) and covered with overlapping bud scales. There is a cavity inside containing the the inner gall which is ejected in late summer, leaving the old galls to persist with the bud scales opened out and brown.
Andricus corruptrix f. agamic
The larvae of the cynipid gall wasp Andricus corruptrix cause galls to form in the buds of Oak (Quercus species). The asexual (agamic) galls are in buds, and are hard and woody, with 1-5 smooth lobes, sometimes with tiny rosettes in the centre of the apex.
Trioza remota
The larvae of Trioza remota cause galls to form on the leaves of English Oak and Sessile Oak. These take the form of a raised pimple on the upper surface of the leaf about 1 to 2 mm across, often several to a leaf. On the underside of the leaf there is a corresponding shallow depression which contains a flat, pale orange-yellow nymph.
Asterodiaspis sp.
Asterodiaspis species are scale insects. 3 species cause a 'pit-gall' on oak twigs: Asterodiaspis quercicola, A minus and A variolosa. They can't be identified from the galls alone. The scale insect creates a small pit in the twig surrounded by a raised rim, c. 2mm across. The scale insects are greenish or brownish, and sit in the middle of the pit.



































































































