Holly Leaf Miner - Phytomyza ilicis
The larvae of the Agromyzid fly Phytomyza ilicis mine the leaves of Holly.
See the National Agromyzidae Recording Scheme webpage for this species for further details of puparium and adult insect.
ref.: Warrington, B.P. (2023). Phytomyza ilicis. Accessed at https://agromyzidae.co.uk/species/agromyzidae/phytomyzinae/phytomyza/ph… on 13/12/2023)
None
Leafmine: please include a photograph and state the host plant.
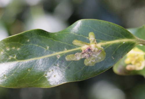
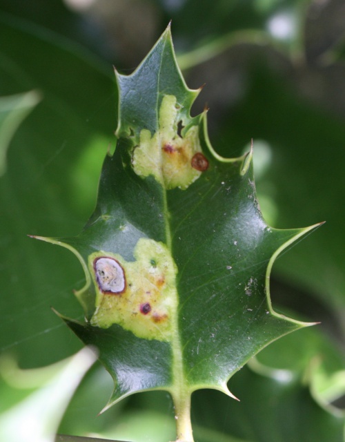
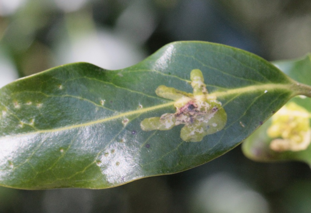
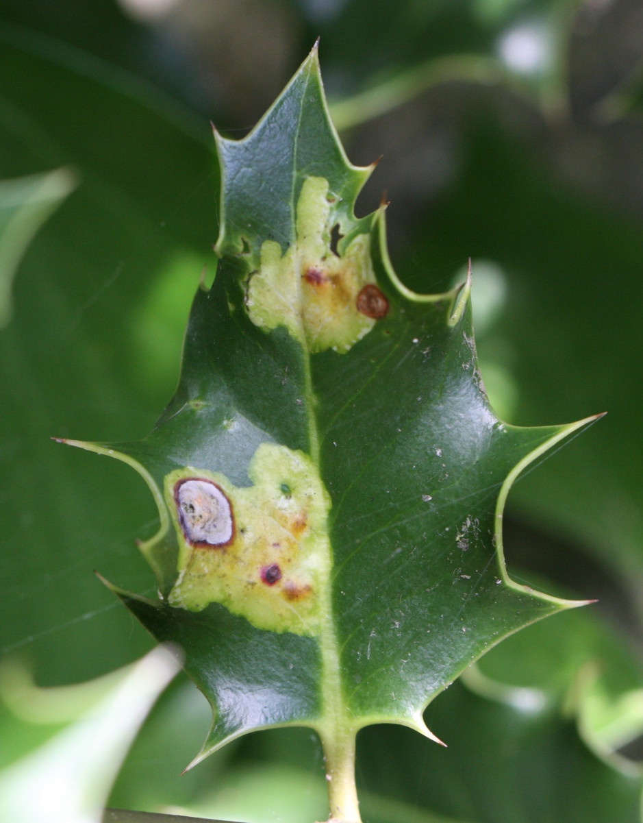
Host plant: Holly
Click on the 'further details' link in the 'Description' section above. Then click on the Phenology tab which will provide phenology details for both adult and larval stages.
Leafmines can be found in all months of the year.
Phytomyza ilicis lays its eggs in May or June, at the base of the petiole of a young leaf (on the underside). Larva initially feeds in mid-rib, later producing characteristic irregular upper surface linear-blotch. Pupation is internal.
Common and widespread in Britain.
Warrington, B. P. 2022. A provisional review of the status of Agromyzidae in Great Britain & Northern Ireland
Common in Leicestershire and Rutland
Previously it was thought that there may be other species producing similar mines so records were placed within an aggregate, however recent research has shown that in the UK Phytomyza ilicis is the only species mining Holly. (see the National Agromyzidae Recording Scheme January 2021 newsletter , B Warrington)
Leicestershire & Rutland Map
Enter a town or village to see local records
MAP KEY:
Yellow squares = NBN records (all known data)
Coloured circles = NatureSpot records: 2025+ | 2020-2024 | pre-2020
UK Map
Species profile
- Common names
- Holly Leaf Miner, Holly Leaf Gall Fly
- Species group:
- insect - true fly (Diptera)
- Kingdom:
- Animalia
- Order:
- Diptera
- Family:
- Agromyzidae
- Records on NatureSpot:
- 534
- First record:
- 06/04/2010 (Calow, Graham)
- Last record:
- 08/04/2026 (Calow, Graham)
Total records by month
% of records within its species group
10km squares with records
The latest images and records displayed below include those awaiting verification checks so we cannot guarantee that every identification is correct. Once accepted, the record displays a green tick.
In the Latest Records section, click on the header to sort A-Z, and again to sort Z-A. Use the header boxes to filter the list.





















