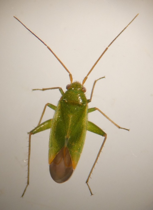
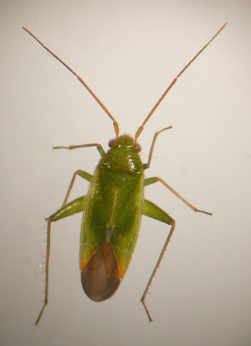
Orthotylus ericetorum
Green Mirid bugs are extremely similar and species identification based on external features is often difficult. The hostplant can be very informative. Orthotylus ericetorum is a small species (about 3.5 mm) found on heather. The upper surface is covered in dark erect hairs, and the membrane veins and cuneus are variably yellow.
Good dorsal and/or side photos of adults are required to confirm species.
On heather.
June to October.
Common bug on heathland throughout the UK, and sometimes even found on cultivated heathers.
Uncommon in Leicestershire and Rutland.
Leicestershire & Rutland Map
Enter a town or village to see local records
MAP KEY:
Yellow squares = NBN records (all known data)
Coloured circles = NatureSpot records: 2025+ | 2020-2024 | pre-2020
UK Map
Species profile
- Species group:
- insect - true bug (Hemiptera)
- Kingdom:
- Animalia
- Order:
- Hemiptera
- Family:
- Miridae
- Records on NatureSpot:
- 6
- First record:
- 06/09/2021 (Timms, Sue)
- Last record:
- 30/07/2025 (Timms, Sue)
Total records by month
% of records within its species group
10km squares with records
The latest images and records displayed below include those awaiting verification checks so we cannot guarantee that every identification is correct. Once accepted, the record displays a green tick.
In the Latest Records section, click on the header to sort A-Z, and again to sort Z-A. Use the header boxes to filter the list.








