Obolodiplosis robiniae
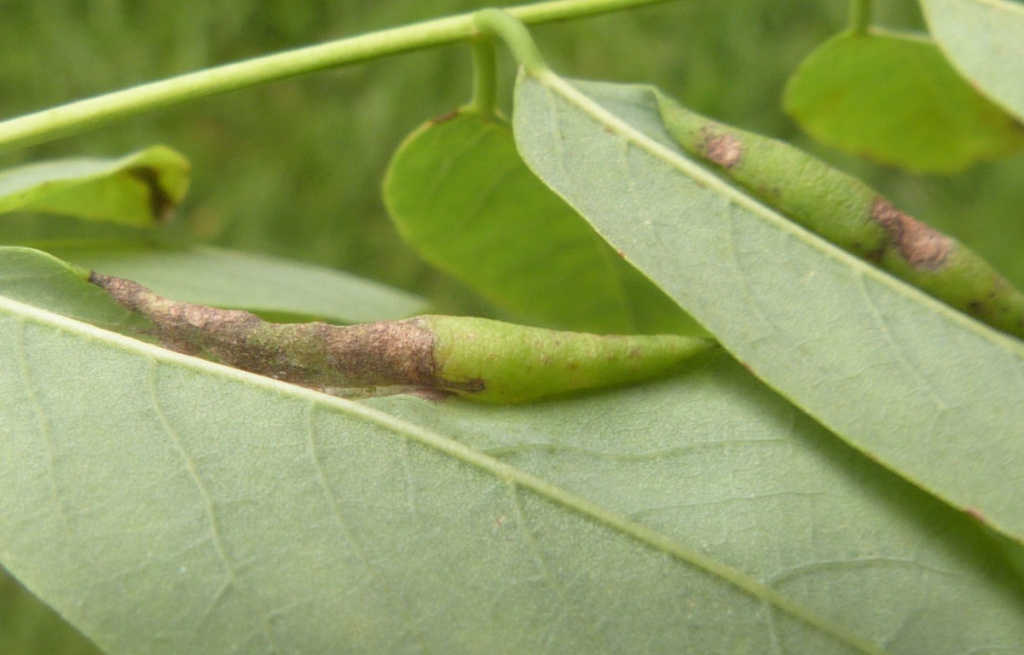
The tiny white larvae of the midge Obolodiplosis robiniae mine the leaves of the introduced False Acacia or Black Locust Tree (Robinia pseudoacacia) causing the edge of the leaflet to roll downwards and thicken. Each roll may contain several white or yellowish larvae.
Where the larval host species False Acacia (Robinia Pseudoacacia) occurs – usually in gardens or parks.
The leaf roll galls can be seen when the host trees are in leaf.
There are several generations per year, the final one overwintering in the ground.
First recorded in Britain in 2007 it first became established in the south-east but has rapidly spread north and westwards.
Status in Leicestershire and Rutland not known.
Leicestershire & Rutland Map
Enter a town or village to see local records
MAP KEY:
Yellow squares = NBN records (all known data)
Coloured circles = NatureSpot records: 2025+ | 2020-2024 | pre-2020
UK Map
Species profile
- Species group:
- insect - true fly (Diptera)
- Kingdom:
- Animalia
- Order:
- Diptera
- Family:
- Cecidomyiidae
- Records on NatureSpot:
- 33
- First record:
- 31/08/2018 (Calow, Graham)
- Last record:
- 13/11/2025 (Smith, Peter)
Total records by month
% of records within its species group
10km squares with records
The latest images and records displayed below include those awaiting verification checks so we cannot guarantee that every identification is correct. Once accepted, the record displays a green tick.
In the Latest Records section, click on the header to sort A-Z, and again to sort Z-A. Use the header boxes to filter the list.









