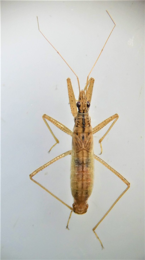
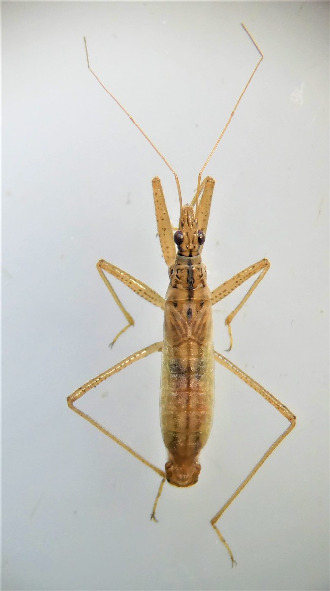
Marsh Damselbug - Nabis limbatus
Length 7.5 to 9.0 mm. N. limbatus has a broad body and very short wings. This species is always micropterous, and the forewings are shorter than in N. flavomarginatus, covering the 2nd and part of the 3rd abdominal segments only. The similar Reed Damsel Bug (N. lineatus) can occur in similar habitats to N. limbatus, but is larger and has a narrower connexivum, giving it a more elongate appearance. Note that male damsel bugs are much more slender than females, so this character must be used with care.
Damp grassland, marshy areas and wet meadows.
Adult: June-October.
Adults lay eggs in summer which hatch the following spring.
Widespread and common throughout the UK.
Fairly common in Leicestershire and Rutland.
Leicestershire & Rutland Map
Enter a town or village to see local records
MAP KEY:
Yellow squares = NBN records (all known data)
Coloured circles = NatureSpot records: 2025+ | 2020-2024 | pre-2020
UK Map
Species profile
- Common names
- Marsh Damselbug
- Species group:
- insect - true bug (Hemiptera)
- Kingdom:
- Animalia
- Order:
- Hemiptera
- Family:
- Nabidae
- Records on NatureSpot:
- 59
- First record:
- 11/09/2009 (Gould, David)
- Last record:
- 11/08/2025 (Cann, Alan)
Total records by month
% of records within its species group
10km squares with records
The latest images and records displayed below include those awaiting verification checks so we cannot guarantee that every identification is correct. Once accepted, the record displays a green tick.
In the Latest Records section, click on the header to sort A-Z, and again to sort Z-A. Use the header boxes to filter the list.



















