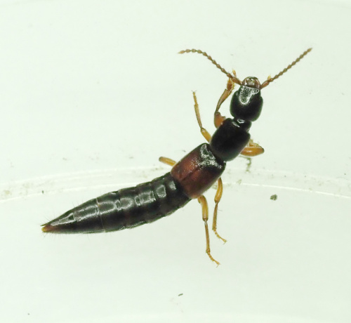
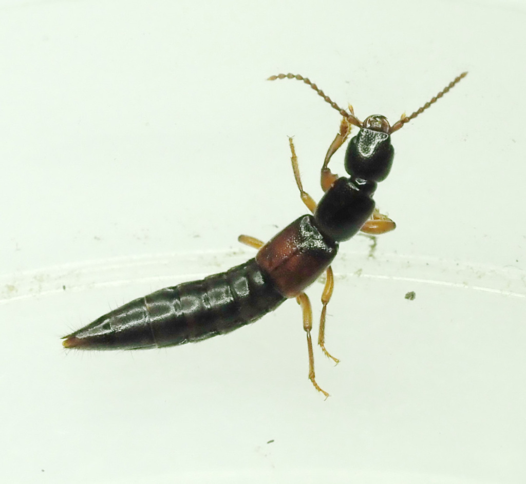
Lathrobium geminum
Size 7.5 to 10.5 mm. It is very similar to other members of the genus and detailed examination is necessary in order to identify to species.
Unless identified by a recognised expert, a photo is required and the specimen should be examined with a microscope. In the comments box, state the key or ID method used and describe the size and identifying characters.
Found in a wide range of habitats. It may be found in moss and leaf litter, flood refuse, as well as under bark and stones.
Can be encountered in most months of the year but especially in March, April and early May.
Widespread and fairly frequent in Britain.
Frequent in Leicestershire and Rutland.
Leicestershire & Rutland Map
Enter a town or village to see local records
MAP KEY:
Yellow squares = NBN records (all known data)
Coloured circles = NatureSpot records: 2025+ | 2020-2024 | pre-2020
UK Map
Species profile
- Species group:
- insect - beetle (Coleoptera)
- Kingdom:
- Animalia
- Order:
- Coleoptera
- Family:
- Staphylinidae
- Records on NatureSpot:
- 3
- First record:
- 14/05/1993 (Jon Daws)
- Last record:
- 14/03/2026 (Nicholls, David)
Total records by month
% of records within its species group
10km squares with records
The latest images and records displayed below include those awaiting verification checks so we cannot guarantee that every identification is correct. Once accepted, the record displays a green tick.
In the Latest Records section, click on the header to sort A-Z, and again to sort Z-A. Use the header boxes to filter the list.







