Rhopalus parumpunctatus
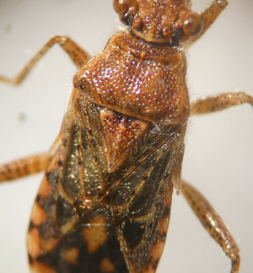
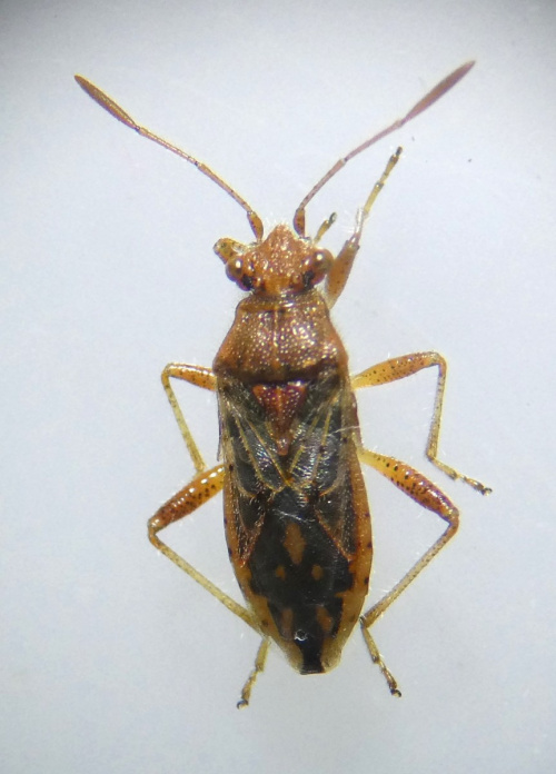
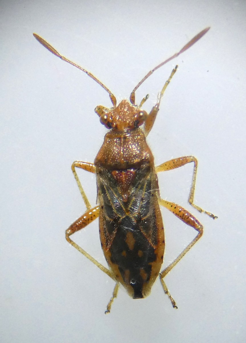
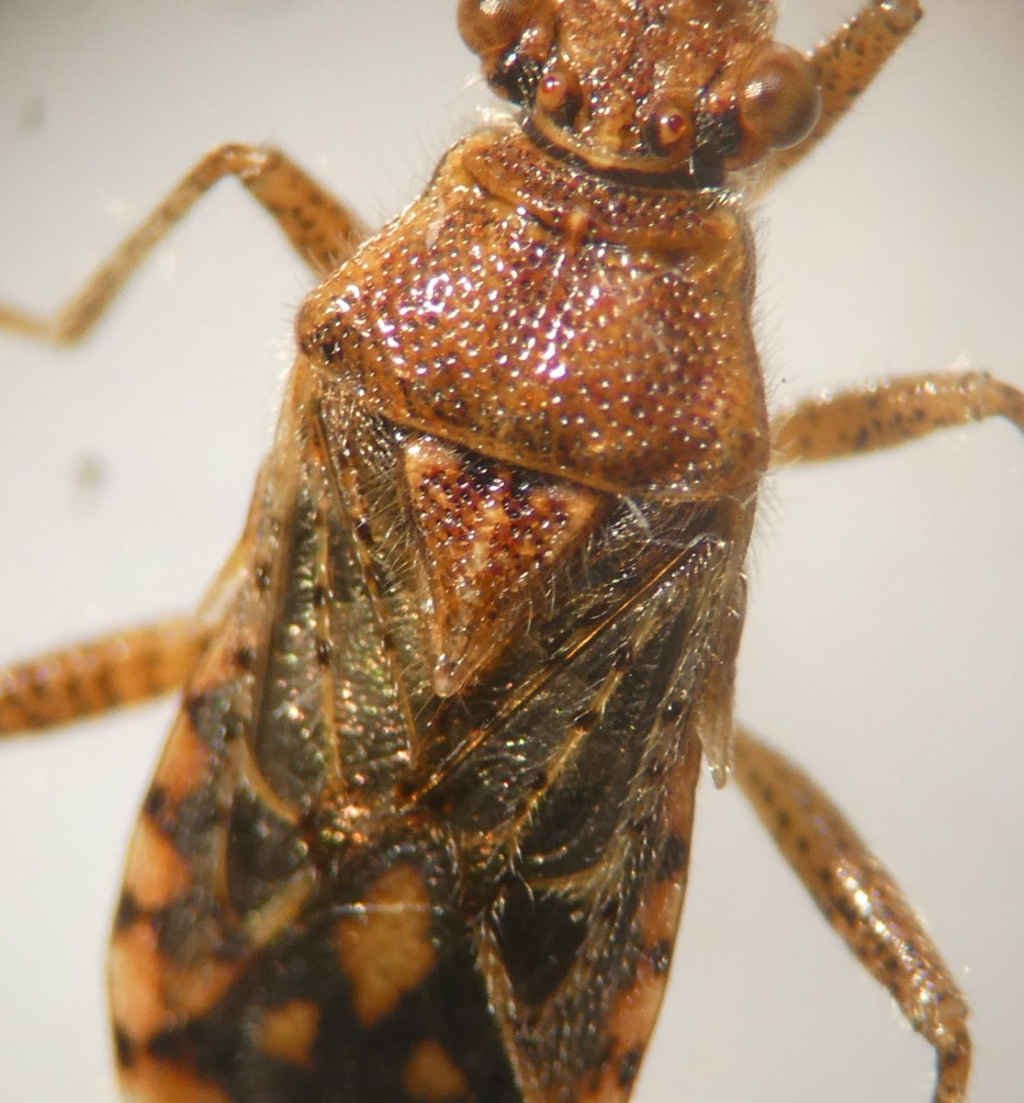
A large and hairy bug with reddish memebraneous forewings and adomen marked with orange-red and black. The scutellum has a single whitish tooth, unlike the common R subrufus. The corium veins have black dots and there is a pale median line down the pronotum.
other Rhopalus
Good photos showing scutellum and forewings are needed
Dry grasslands; associated mainly with Mouse-ear Chickweed
Locally distributed in mainly southern Britain
Rare.
Leicestershire & Rutland Map
Enter a town or village to see local records
MAP KEY:
Yellow squares = NBN records (all known data)
Coloured circles = NatureSpot records: 2025+ | 2020-2024 | pre-2020
UK Map
Species profile
- Species group:
- insect - true bug (Hemiptera)
- Kingdom:
- Animalia
- Order:
- Hemiptera
- Family:
- Rhopalidae
- Records on NatureSpot:
- 2
- First record:
- 09/07/2025 (Timms, Sue)
- Last record:
- 23/07/2025 (Timms, Sue)
Total records by month
% of records within its species group
10km squares with records
The latest images and records displayed below include those awaiting verification checks so we cannot guarantee that every identification is correct. Once accepted, the record displays a green tick.
In the Latest Records section, click on the header to sort A-Z, and again to sort Z-A. Use the header boxes to filter the list.




