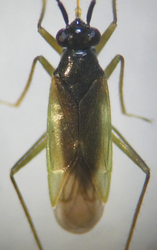
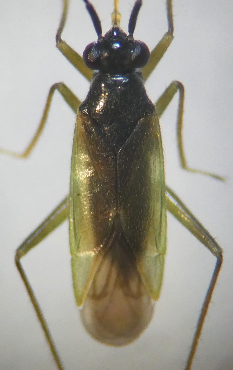
Cyrtorhinus caricis
A small and very lively carnivorous bug assocated with wetland sedges and rushes. The forewing are greenish with a dark strip down the centre, legs are greenish-brown, and the antennae are black.
Good photos, preferably of a specimen
wetlands with sedges and rushes - e.g. margins of water bodies
Widely scattered (ref. British Bugs website and British Heteroptera checklist 2021)
Few records, but may be under-recorded
Leicestershire & Rutland Map
Enter a town or village to see local records
MAP KEY:
Yellow squares = NBN records (all known data)
Coloured circles = NatureSpot records: 2025+ | 2020-2024 | pre-2020
UK Map
Species profile
- Species group:
- insect - true bug (Hemiptera)
- Kingdom:
- Animalia
- Order:
- Hemiptera
- Family:
- Miridae
- Records on NatureSpot:
- 1
- First record:
- 25/07/2025 (Timms, Sue)
- Last record:
- 25/07/2025 (Timms, Sue)
Total records by month
% of records within its species group
10km squares with records
The latest images and records displayed below include those awaiting verification checks so we cannot guarantee that every identification is correct. Once accepted, the record displays a green tick.
In the Latest Records section, click on the header to sort A-Z, and again to sort Z-A. Use the header boxes to filter the list.



