Dasineura acrophila
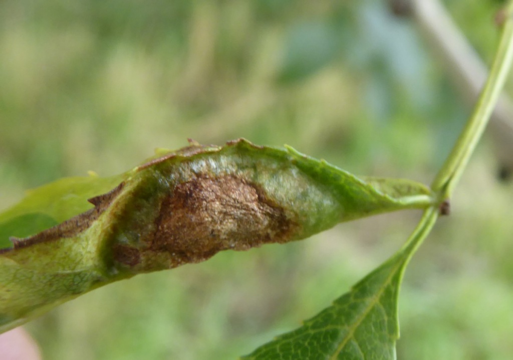
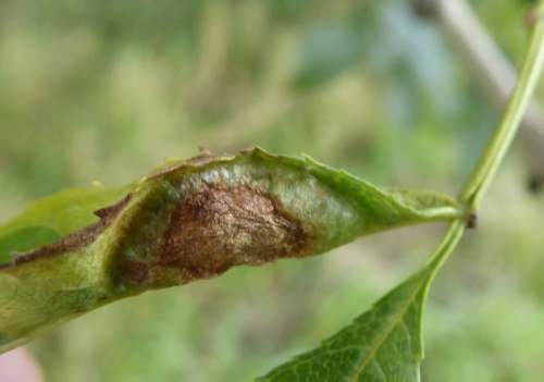
This species galls the leaves of Ash with many white larvae in a pod formed by partial or complete thickening and upfolding of leaflet over the midrib.
Dasineura fraxini causes pouches to form along the midrib of leaflets on ash
Wherever Ash, the host plant is found.
Late spring to early summer
Univoltine, pupates in the soil.
Widespread and common
Not known
Leicestershire & Rutland Map
Enter a town or village to see local records
MAP KEY:
Yellow squares = NBN records (all known data)
Coloured circles = NatureSpot records: 2025+ | 2020-2024 | pre-2020
UK Map
Species profile
- Species group:
- insect - true fly (Diptera)
- Kingdom:
- Animalia
- Order:
- Diptera
- Family:
- Cecidomyiidae
- Records on NatureSpot:
- 8
- First record:
- 08/06/2017 (lemmon, roy)
- Last record:
- 12/08/2021 (lemmon, roy)
Total records by month
% of records within its species group
10km squares with records
The latest images and records displayed below include those awaiting verification checks so we cannot guarantee that every identification is correct. Once accepted, the record displays a green tick.
In the Latest Records section, click on the header to sort A-Z, and again to sort Z-A. Use the header boxes to filter the list.





